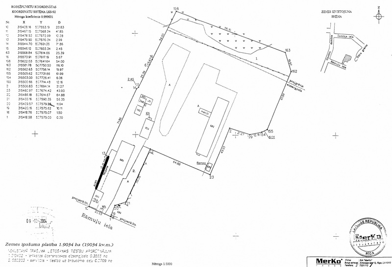
Участок земли в районе Рижского свободного порта, под коммерческую или промышленную застройку.
Район Рижского порта, улица Рамулю
Описание
- 19 034 м2;
- Электричество, вода;
- Подъездная дорога.
Details
- ID номер: RAM001
- Цена продажи: 600 000 EUR

